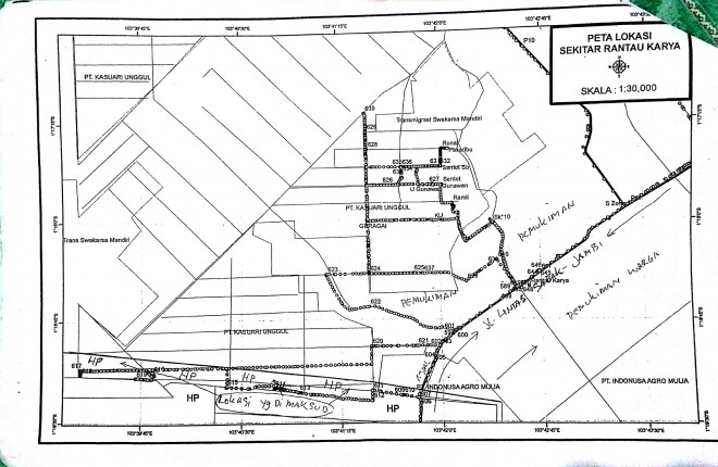
MUARASABAK,eNewsTimE.co - Dinas Kehutanan (Dishut) Provinsi Jambi diminta menindak tegas PT. Kaswari Unggul II yang tidak melaksanakan perintah Dinas Kehutanan dan Perkebunan Kabupaten Tanjung Jabung Timur (Tanjabtim) untuk memusnahkan atau mencabut tanaman kelapa sawit dan kewajibannya untuk menanam kembali dengan tanaman kehutanan. Alhasil, area terlarang yang ditanamnya menjadi areal konflik dengan adanya upaya oknum dan atau kelompok tertentu untuk menguasai lahan tersebut.
Menurut salah satu warga Dendang, Humaisar, bahwa ketidak patuhan PT. Kaswari Unggul terhadap Pemerintah itu telah berlangsung lama, dan kesannya disengaja. Dinas Kehutanan dan Perkebunan Kabupaten Tanjabtim pada 24 September 2014 lalu pernah melayangkan surat teguran bernomorkan 522/310/HUTBUN/2014 atas permohonan revisi surat No. 522/258/HUTBUN/2014 kepada GM. Reg. Jambi PT. Kaswari Unggul. ‘’Intinya pada saat itu permintaan PT. Kaswari Unggul dalam permohonan revisi ditolak, dikarenakan titik koordinat areal yang dimohon untuk pengajuan HGU ternyata berada diluar kawasan hutan. Maka kebun sawit yang ditanamnya diluar lokasi permohonan HGU di Desa Rantau Karya Kecamatan Geragai dan Desa Catur Rahayu Kecamatan Dendang itu masuk kawasan hutan produksi tetap (HP). Dan Dinas Kehutanan minta agar Kaswari memusnahkan tanaman kelapa sawit itu dan menaman kembali dengan tanaman kehutanan,’’ tuturnya.
Kemudian pada 5 November 2014, Dinas Kehutanan dan Perkebunan Kabupaten Tanjabtim kembali melayangkan surat teguran yang kedua kepada GM. Reg. Jambi PT. Kaswari Unggul di Jambi, dengan nomor 522/348/HUTBUN/2014 perihal penanaman di kawasan Hutan Produksi. Peringatan itu dilayangkan karena sampai saat itu pihak Dinas Hutbun belum menerima laporan ketersediaan dan upaya serius atau niat baik dari Perusahaan tersebut untuk menindak lanjuti dengan mencabut atau memusnahkan tanaman kelapa sawit dan melakukan penanaman kembali dengan tanaman kehutanan. ‘’Disaat itu, bila tidak dilaksanakan oleh PT. Kaswari Unggul selama 30 hari sejak surat itu dilayangkan, maka Dinas Hutbun akan menindak lanjuti dengan proses hukum, hingga kini Kaswari nampaknya masih enggan melaksanakan teguran tersebut,’’ ulasnya.
Disela-sela konflik, ternyata pihak Desa Rantau Karya Kecamatan Geragai mengajukan kepada Dinas Kehutanan Provinsi Jambi untuk dapat mengelola kawasan Hutan Produksi yang telah ditanami kelapa sawit oleh PT. Kaswari Unggul tersebut kelihatannya ditolak. Pasalnya pada 24 Mei 2016 Dinas Kehutanan Provinsi Jambi membalas surat permohonan tersebut. Dimana pada surat bernomor S.2053/Dishut-2.2/V/2016 pihak desa diminta untuk menghimbau Masyarakat Rantau Karya untuk menghentikan seluruh kegiatan pada areal tersebut, dan tidak memanen buah sawit yang bukan miliknya. ‘’Saat itu pihak Desa juga diminta untuk selalu berkoordinasi dengan Dinas Hutbun, dan pihak desa juga diminta untuk melaporkan kepada instansi berwenang terkait apabila terjadi hal yang tidak diinginkan dan mengangu ketertiban umum,’’ ujarnya.
Menginggat seluruh kewenangan serta sarana prasarana pengamanan telah ditarik ke Provinsi Jambi, maka diharapkan adanya penanganan serius. Sehingga permasalahan lebih luas yang mungkin timbul akibat dari kondisi tersebut dapat teratasi dengan baik. ‘’Kita minta Dinas Kehutanan Provinsi Jambi dapat menindak tegas Kaswari Unggul yang dinilai sudah melanggar peraturan yang berlaku,’’ tukasnya.
Ketua dan Komisi II DPRD Tanjabtim Tinjau Kondisi Jalan Muarasabak Timur - Rantau Rasau 6
Esekutif Jawab Pandangan Umum Fraksi DPRD Tanjabtim Terhadap LKPJ Bupati TA 2024 6
Tinjau Jembatan Ambruk, Bupati Dillah : Pembangunan Direncanakan dan Segera di Bangun 6

Aliansi Pemuda Peduli Lingkungan Merangin Pertanyakan Pinjam Pakai BB Alat Berat PETI